HomeFŽR‚©‚ç‚Ì‘¡‚蕨 ‰Ô–¼ˆê—— (‰È–¼ŒÜ\‰¹‡) ‰Ô–¼ˆê—— (˜a–¼ŒÜ\‰¹‡)
ƒJƒ“ƒRƒmƒLi éV–Øj
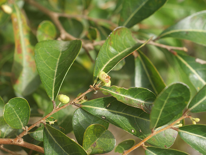
Glochidion obovatum Siebold et Zucc. @ @ƒRƒ~ƒJƒ“ƒ\ƒE‰È Phyllanthaceae

ŠCŠÝ‚ɋ߂¢‹u—Ë’n‚Ì‘Œ´‚â‘a—тɶˆç‚·‚é—Ž—t‚Ü‚½‚Í”¼—Ž—t’á–ØB‚‚³1 - 6 mBŽ}‚͂悭•ªŽ}‚µC¬Ž}‚Ìæ’[•”•ª‚ÍŽhó‚Æ‚È‚éB—t‚͌ݶ‚µC–³•¿‚Ü‚½‚Í’·‚³ 3 mmˆÈ‰º‚Ì’Z‚¢•¿‚ª‚ ‚èC’·‚³2.5 - 5.5 cmC•1.5 - 2.5 cm‚ÅC‰º•”‚Ì—t‚ł͓|—‘Œ`‚Ü‚½‚Í‚­‚´‚ÑŒ`Cã•”‚Ì‚à‚̂ł͋·“|—‘Œ`Cæ‚͓݌`‚©‚ç‰~Œ`‚Ü‚½‚ÍØŒ`‚ÅCŠî•”‚Í‚­‚³‚ÑŒ`‚ƂȂèC‘S‰C‚T - ‚U‘΂̑¤–¬‚ª‚ ‚èC—¼–Ê‚Æ‚à–³–ÑBŽ“—YˆÙŠ”C‚Æ‚«‚É“¯Š”B—tãü‚É”’F‚̬‚³‚ȉԂ𑩶‚·‚éB‰Ô•ق͂Ȃ­CäӕЂ͂UŒÂ‚Å‚Q—Ö‚É”z—ñ‚µC—‘ó‘ȉ~Œ`C’·‚³–ñ1.5 - 2 mmC•½ŠJ‚·‚éB—Y‰Ô‚Í’·‚³ 1 cm‚قǂ̖¾‚ç‚©‚È•¿‚ª‚ ‚èCäӕЂ͂UŒÂ‚ÅC‚Q—Ö‚É”z—ñ‚µC—‘ó‘ȉ~Œ`C’·‚³ 1.5 mm‚Ù‚Ç‚ÅCŠJo‚µC–³–ÑBŽ“‰Ô‚Ì•¿‚Í’·‚³–ñ 1 mmCäӕЂ͗‘ó‘ȉ~Œ`C’¼—§‚µC‰–Ñ‚ª‚ ‚èCŽq–[‚Í‚U‚ ‚é‚¢‚Í‚VŽº‚ÅC‰Ô’Œ‚͇’…‚µ‚Ä‚±‚ñ–_ó‚Æ‚È‚èCäӕЂæ‚è‚à’·‚­Cæ’[‚ͬ—ô•Ðó‚Æ‚È‚éB‚³‚­‰Ê‚Í’¼Œa–ñ 6 mm‚ÌG‹…Œ`‚Å–³–ÑCƒJƒ{ƒ`ƒƒ‚̂悤‚ÈŒ`‚ð‚µ‚Ä‚¢‚éBŠŒF‚Én‚µ‚Ä—ôŠJ‚·‚éBŽíŽq‚ÍŽéFC’·‚³–ñ 3 mm‚Ì—‘Œ`B
‰ÔŠúF‚V - 10ŒŽB
•ª•zF–{Bi‹ß‹E’n•ûˆÈ¼jEŽl‘E‹ãBC—®‹…
Glochidion ƒJƒ“ƒRƒmƒL‘®F ƒJƒ“ƒRƒmƒL@


11-2-25@“ì‹ãBŽsCŽ­Ž™“‡Œ§

11-2-25@“ì‹ãBŽsCŽ­Ž™“‡Œ§

11-2-25@“ì‹ãBŽsCŽ­Ž™“‡Œ§

11-2-25@“ì‹ãBŽsCŽ­Ž™“‡Œ§

11-2-25@“ì‹ãBŽsCŽ­Ž™“‡Œ§

11-2-25@“ì‹ãBŽsCŽ­Ž™“‡Œ§

11-3-25@“삳‚‚܎sCŽ­Ž™“‡Œ§

11-3-25@“삳‚‚܎sCŽ­Ž™“‡Œ§

11-3-25@“삳‚‚܎sCŽ­Ž™“‡Œ§

11-3-25@“삳‚‚܎sCŽ­Ž™“‡Œ§

¶•¨@ ‰Ô–¼ˆê—— (‰È–¼ŒÜ\‰¹‡)@ ‰Ô–¼ˆê—— (˜a–¼ŒÜ\‰¹‡)@ HomeFŽR‚©‚ç‚Ì‘¡‚蕨